Jamaica se pregătea luni pentru sosirea uraganului Melissa, care ar putea fi cel mai violent astfel de fenomen care a lovit vreodată teritoriul său, fiind de aşteptat să provoace inundaţii şi alunecări de teren catastrofale, relatează AFP şi Reuters, citate de news.ro.
„Nu vă aventuraţi în afara adăpostului vostru sigur”, a îndemnat luni dimineaţă Centrul American pentru Uragane (NHC), în timp ce autorităţile jamaicane îi îndemnau pe cei refractari să plece şi să se pună la adăpost cât mai au timp. „Plecaţi astăzi, deoarece condiţiile se vor deteriora”, a insistat ministrul Dana Morris Dixon.
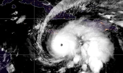
Fenomenul meteorologic continua să se apropie lent de Jamaica, însoţit de rafale de vânt ce au atins viteza de 282 de km/h. Uraganul Melissa ar urma să atingă uscatul în noaptea de luni spre marţi sau marţi dimineaţa.
Uraganul s-a format şi evolua deja de câteva zile în Caraibe, în special în Haiti şi Republica Dominicană.
Epicentrul uraganului „ar urma să treacă pe lângă sau pe deasupra Jamaicăi în această seară şi marţi, să traverseze sud-estul Cubei marţi seara şi să se îndrepte spre sud-estul Bahamas miercuri”, a precizat NHC, care are sediul în Miami, Statele Unite.
Dacă nu îşi va pierde din intensitate, acesta va fi cel mai puternic uragan care a lovit Jamaica de la începutul monitorizării meteorologice. Uraganul ameninţă, de asemenea, arhipelagul Insulelor Turks şi Caicos, un teritoriu britanic.
UN URAGAN DE PROPORŢII APOCALIPTICE
Cu rafale de vânt susţinute de până la 270 de kilometri pe oră, uraganul Melissa este clasificat în categoria 5 pe scara Saffir-Simpson, cea mai înaltă. Se anunţă devastator, cu valuri „înalte şi distructive”, potrivit NHC.
Este a 13-a furtună tropicală a sezonului în Atlantic, care se întinde de la începutul lunii iunie până la sfârşitul lunii noiembrie.
Îngrijorarea este cu atât mai mare cu cât uraganul Melissa se deplasează cu o viteză foarte mică, de 6 kilometri pe oră. Ploile torenţiale şi vânturile puternice ar putea astfel să se prelungească asupra localităţilor asupra cărora se dezlănţuie.
Evoluând de câteva zile în Caraibe, Melissa a făcut deja cel puţin patru morţi în Haiti şi în Republica Dominicană, unde un adolescent este încă dat dispărut. Luni, cele două teritorii erau încă ameninţate de ploi abundente care ar putea provoca alunecări de teren şi inundaţii.
Precipitaţiile torenţiale ar putea aduce până la peste 1.000 de litri pe metru pătrat de ploaie în unele zone din Jamaica, a avertizat Michael Brennan, directorul NHC, insistând asupra riscului de „inundaţii catastrofale şi de numeroase alunecări de teren”. Locuitorii trebuie „să se afle într-un loc sigur şi să se pregătească să rămână acolo toată noaptea şi o mare parte a zilei de marţi”, a adăugat el, autorităţile meteorologice avertizând, de asemenea, asupra riscului unor pene prelungite de curent şi de comunicaţii.
Pe măsură ce uraganul se apropie, autorităţile jamaicane au închis aeroportul internaţional Norman Manley, care deserveşte capitala Kingston, şi porturile maritime.
De asemenea, au îndemnat populaţia să fie prudentă, pe reţelele sociale circulând videoclipuri catastrofale generate de inteligenţa artificială.
Prim-ministrul Jamaicăi, Andrew Holness, a avertizat luni că uraganul Melissa ar putea provoca pagube considerabile şi a îndemnat locuitorii să ia toate măsurile de precauţie necesare. „Nu cred că vreo infrastructură din această regiune ar putea rezista unui uragan de categoria 5”, cea mai înaltă categorie, la care a ajuns deja Melissa, „aşadar ar putea exista distrugeri importante”, a spus premierul.
La câteva ore după ce a ordonat evacuarea obligatorie a unor părţi din sudul Jamaicăi, inclusiv a oraşului istoric Port Royal, prim-ministrul Andrew Holness a solicitat sprijin străin.
În ciuda avertismentelor, unii locuitori au declarat pentru Reuters că sunt reticenţi să-şi părăsească locuinţele de teama jafurilor.
FOARTE PUTERNICE ŞI FOARTE LENTE, URAGANE PRECUM MELISSA DEVIN DIN CE ÎN CE MAI FRECVENTE
Ultimul uragan major – de categoria 3 sau mai mare pe scara Saffir-Simpson – care a lovit Jamaica a fost uraganul Gilbert, care a provocat 40 de morţi şi pagube enorme în ţară în septembrie 1988.
De atunci, insula a fost lovită de mai multe uragane, unele dintre ele majore, cel mai recent fiind Beryl, în iulie 2024, care însă nu a atins uscatul. Anormal de puternic pentru această perioadă a anului, acesta a provocat ploi torenţiale şi vânturi violente, cauzând cel puţin patru decese.
În ciuda unui început calm, sezonul uraganelor din Atlantic din 2025, care se întinde de la începutul lunii iunie până la sfârşitul lunii noiembrie, ar trebui să fie mai intens decât în mod normal, potrivit previziunilor autorităţilor meteorologice americane.
Beryl a fost cel mai timpuriu şi rapid uragan atlantic înregistrat care a atins categoria 5, dar oamenii de ştiinţă avertizează că furtunile devin mai puternice mai repede ca urmare a încălzirii apelor oceanului din cauza schimbărilor climatice, acumulând forţă pentru furtunile sezoniere.
Alimentată de apele anormal de calde din Caraibe, furtuna Melissa s-a transformat într-un uragan de categoria 5 care se deplasează cu viteză foarte mică, o combinaţie ce ar putea amplifica efectele sale. Oamenii de ştiinţă spun că furtunile care se intensifică rapid în timp ce practic stagnează sunt în creştere pe măsură ce clima se încălzeşte.
De la o furtună tropicală însoţită de vânturi de puţin peste 110 kilometri pe oră, Melissa a fost clasificată în 24 de ore ca uragan de categoria 4, cu vânturi de 225 km/h. Apoi s-a intensificat şi mai mult, ajungând la categoria 5, adică nivelul maxim al scării Saffir-Simpson.
Dintre cele cinci uragane din Atlantic din acest sezon, patru s-au intensificat în acest mod spectaculos.
Temperaturile mai ridicate ale suprafeţei mării injectează mai multă energie în furtuni, oferindu-le combustibil suplimentar. Dar trebuie să nuanţăm: de fapt, diferenţa de temperatură dintre apă şi atmosferă determină puterea potenţială a unui uragan. „Această încălzire atmosferică tinde să reducă intensitatea, iar încălzirea temperaturii suprafeţei mării tinde să o crească”, a explicat pentru AFP David Gilford, om de ştiinţă la organizaţia non-profit Climate Central. În general, „temperatura suprafeţei mării prevalează” în determinarea puterii furtunilor, spune el.
Melissa a trecut peste ape mai calde cu 1,4 °C din cauza schimbărilor climatice, potrivit unei prime analize a Climate Central - temperaturi care au devenit de cel puţin 500 de ori mai probabile din cauza încălzirii cauzate de om.
Oceane mai calde înseamnă şi furtuni mai umede. „Estimăm că vor fi între 25 şi 50% precipitaţii suplimentare în timpul unei furtuni precum Melissa din cauza schimbărilor climatice”, estimează David Gilford. Factor agravant: furtuna avansează încet, cu 4,8 km/h. Uraganul ar trebui să aducă între 500 şi 630 de litri de ploaie pe metrul pătrat în anumite părţi ale Jamaicăi.
„O SITUAŢIE OARECUM ÎNFRICOŞĂTOARE”
Jill Trepanier, expertă în climatologia uraganelor la Universitatea de Stat din Louisiana, explică pericolul reprezentat de furtuni precum Melissa. „Poate fi vorba de valuri de furtună prelungite. Poate fi vorba de precipitaţii abundente pe o perioadă îndelungată, iar bazinul hidrografic nu poate suporta acest lucru. Poate fi vorba de viteze extreme ale vântului pe o perioadă lungă de timp. Majoritatea infrastructurilor nu pot suporta acest lucru”, a declarat ea pentru AFP. „Poate fi vorba de o combinaţie a celor trei elemente”, a adăugat cercetătoarea, care a redactat anul trecut un raport despre furtunile stagnante, subliniind că acest tip de evenimente în Caraibe au loc de obicei în octombrie şi în apropierea coastelor.
În principiu, furtunile stagnante se sting pe măsură ce aspiră apă rece din adâncurile mării. Melissa este ieşită din comun, deoarece s-a intensificat stagnând în acelaşi loc – un semn că apa era atât de caldă, iar căldura era atât de profundă, încât a evitat acest efect obişnuit de autodistrugere. „Este o situaţie puţin înfricoşătoare”, constată Jill Trepanier.
Potrivit lui James Kossin, fost climatolog al Agenţiei Americane de Observare Oceanică şi Atmosferică (NOAA), datele arată clar că numărul furtunilor stagnante este în creştere. Un factor posibil care explică acest fenomen este „amplificarea arctică” – când încălzirea globală reduce diferenţa de temperatură între latitudinile joase şi cele înalte ale planetei, ceea ce slăbeşte vânturile care, în mod normal, propulsează uraganele. Dar sunt necesare cercetări suplimentare pentru a confirma o legătură de cauzalitate, recunoaşte el.


































Comentează