22-11-2025324Cultură si MediaMiss Jamaica rămâne internată în spital după căzătura suferită la runda preliminară de rochii de seară
20-11-20252.430Știrile ZileiVIDEO Cea mai mică țară din lume care tocmai s-a calificat la un Campionat Mondial: Au o populație cât un oraș mediu din România
10-11-202544ExterneUn avion de mici dimensiuni cu provizii de urgență pentru Jamaica s-a prăbușit într-un cartier rezidențial din Florida
SUA, ajutor de 24 de milioane de dolari pentru Jamaica, Haiti, Bahamas și Cuba, afectate de uraganul Melissa05-11-202552Externe
Uraganul Melisa - Voluntari din Michigan pregătesc ajutoare pentru victimele din Jamaica29-10-2025121Externe
VIDEO Imagini apocaliptice cu ca cea mai puternică forță a naturii ce s-a dezlănţuit vreodată asupra Jamaicăi. Ce se întâmplă acum cu uraganul Melissa29-10-20252.287Știrile Zilei
VIDEO Cea mai puternică furtună a secolului lovește Jamaica - Uraganul Melisa are o forță devstatoare28-10-2025283Externe
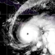
Jamaica se pregăteşte să înfrunte Melissa, un uragan de proporții apocaliptice, cel mai puternic din istoria sa28-10-20251.153Știrile Zilei
Rafale de vânt distrugătoare şi ”inundaţii catastrofale” amenință Jamaica - Uraganul Melisa a atins categoria 527-10-2025168Externe
MAE avertizează românii care călătoresc în Jamaica: Uraganul Melissa va lovi insula pe 25 octombrie24-10-202546Social
'Nu se poate să mi se întâmple mie asta': cum a ajuns un bărbat crescut în SUA să fie deportat într-o țară în care n-a pus niciodată piciorul09-07-20258.963Externe
Uraganul Beryl face ravagii în Jamaica. Până acum a fost confirmată moartea a şapte oameni03-07-202486Externe
Războiul tabloidelor cu Meghan și Harry continuă: 'Disperaţi să fie văzuţi', 'Insensibili' şi 'Provocatori'26-01-20242.953Externe
Harry și Meghan au participat la un eveniment în Jamaica alături de politicieni anti-monarhie24-01-2024499Externe
Imagini spectaculoase cu 'cel mai păcătos oraş de pe pământ', scufundat după judecata lui Dumnezeu: Cum arată după sute de ani / Video19-01-20244.485Știrile Zilei
Povestea incredibilă a femeii care a ajuns, din greșeală, la 1500 de kilometri de casă: nu avea nici măcar pașaport 08-05-20234.257Externe
Moment teribil pentru Usain Bolt, cel mai rapid om din lume: i-au furat o sumă uriașă din conturi 19-01-2023100Sport
03:52SportPremier League: Arsenal Londra a terminat la egalitate joi seara, în deplasare, cu gruparea Brentford
03:45Știrile ZileiLIVE TEXT - Război în Ucraina: Kievul a vizat obiective militare și energetice din regiunile Volgograd și Tambov
03:30Știrile ZileiHoroscopul zilei de 14 februarie 2026. Leii se simt iubiți. Află ce se întâmplă cu zodia ta
03:18Știrile ZileiSuedia, viraj major după ani de digitalizare: Se renunță la ecranele din școli în favoarea cărțilo ipărite
03:00Știrile ZileiValentine's Day a fost interzis. Țările care nu celebrează Ziua Îndrăgostiților / Cine încalcă legea va fi pedepsit
02:46Știrile ZileiAu apus vremurile în care lumea se baza pe America. Cum s-a ajuns ca Europa să fugă de Donald Trump și nu după el
00:27Știrile ZileiRomânia intră în recesiune tehnică? PIB pe minus pentru al doilea trimestru la rând, scădere „aproape 2%” în T4 2025
00:08SocialIntervenţie de urgență a poliţiştilor: un bărbat ameninţa că se aruncă în gol de pe Cetatea Devei
00:07Știrile ZileiSimion schimbă garda în partid: Jurnalista Alexandra Păcuraru intră în conducerea AUR, peste Murad
12 febȘtirile ZileiMigrație fără precent a marilor bogați ai lumii: Părăsesc în mare viteză Occidentul și se refugiază în noul ”El Dorado” al miliardarilor
12 febȘtirile ZileiVIDEO Roata istoriei s-a întors și are ”prostul obicei” de a-și plăti datoriile: Cel mai mare imperiu a ajuns să fie împânzit de foștii coloniști
12 febȘtirile ZileiO nouă ”reușită” a lui Ilie Bolojan: Sunt probleme foarte mari cu bursele studenților din toate universitățile
12 febȘtirile ZileiVIDEO Ursula von der Leyen s-a enervat și bate cu pumnul în masă: Amenință țările din Europa care nu vor să adopte ”tratamentul șoc”