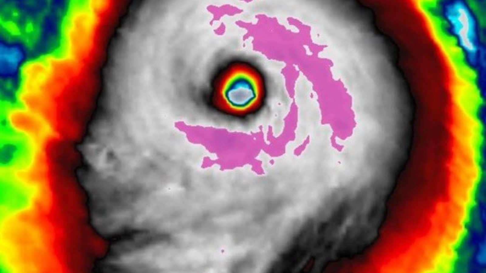
NOAA, Administrația Națională Oceanică și Atmosferică, a dezvăluit imagini spectaculoase cu uraganul Milton, unul dintre cele mai intense fenomene meteo din ultimii ani. În imaginile surprinse de sateliți, se pot vedea mii de fulgere izbucnind în interiorul uraganului, informează Libertatea.
This imagery from @NOAA's #GOESEast ????️ is providing visible cloud imagery every 30 seconds of #HurricaneMilton as it pushes closer to Florida. Notice the frequent #lightning being picked up by the satellite's #GLM instrument as well.
— NOAA Satellites (@NOAASatellites) October 9, 2024
Get the latest on #Milton:… https://t.co/33Yng1EYNC pic.twitter.com/5Xjb2K2Y49
În urma prognozelor alarmante legate de impactul devastator al uraganului Milton, autoritățile au emis ordine de evacuare obligatorie pentru 5,9 milioane de persoane. Aceasta reprezintă cea mai amplă operațiune de evacuare din istoria Floridei.
Centrul Național pentru Uragane a emis un avertisment sever, precizând că uraganul Milton va lovi coasta ca un „fenomen major, extrem de periculos”, cu rafale de vânt de până la 145 mph (233 km/h). Uraganul, care se îndreaptă spre Florida, este clasificat în categoria a cincea, cea mai puternică pe scara Saffir-Simpson.
Uraganul Milton a lovit joi Florida
A lăsat fără electricitate peste 2,5 milioane de locuințe și provocând inundații, la două săptămâni după trecerea devastatoare a uraganului Helene, conform AFP.
Meteorologii avertizează că, pe lângă ploi torențiale, inundații rapide și vânturi violente, uraganul va declanșa un fenomen numit „storm surge”, în care apa se deplasează de pe coastă spre interior. Deși valurile uriașe sunt frecvente în astfel de situații, miercuri seară, vânturile puternice împingeau apa din Tampa Bay.
Modul în care uraganul Milton va lovi coasta Golfului Floridei va influența direct riscul de inundații masive în Tampa Bay. Specialiștii avertizează că, dacă Milton va ajunge pe uscat la sud de Tampa, zona ar putea fi afectată de un fenomen rar, cu valuri inverse cauzate de furtună.































Comentează